Cell: (717) 309-2740 | Office:(717) 757-7811

Hoffman Mill, Hampstead, MD 21074

$799,000
  • Hoffman Mill, Hampstead, MD 21074 Main Photo

5 Total Photos [Click to View All]

Price Reduced $96,000 on April 21st, 2026
LOT SIZE 10.810 acres MLS#MDCR2031532
STATUSACTIVE PROPERTY TYPELand - Residential SCHOOLCARROLL COUNTY PUBLIC SCHOOLS

Property Description

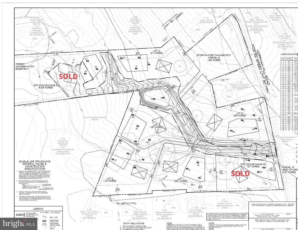
MAJOR PRICE REDUCTION & MOTIVATED SELLER! Builders and Developers: Don't miss this opportunity, call today! 5-Lot Development Opportunity in Hampstead – Highgate Subdivision - Developers and Builders take note: "Highgate" offers the remaining 11.3 acres of a premium 7-lot subdivision on Hoffman Mill Rd. Preliminary plan approved by Health Dept for 5 additional lots (1.60 - 2.11 ac each). Highlights include: Proven Value: Existing homes in the subdivision have sold for $1.005M and $900k. Infrastructure Ready: Electric/cable transformers and mains are INSTALLED. Majority of Storm Water Management is CONSTRUCTED. Access: The Shared Drive is fully constructed and Seller will pave prior to sale Status: All 5 lots are Conventional Perc Approved. Engineering (CLSI) is well underway. Terrain: Gently rolling, mix of open land and woods. Zoned R-20,000/Ag. Don't miss this near-turnkey project in a high-value corridor. Engineering plans and additional information available upon request.

Hoffman Mill | MLS# MDCR2031532

This land located at Hoffman Mill, Hampstead, MD 21074 is currently listed for sale with an asking price of $799,000. The property has approximately 10.81 Acres. Hoffman Mill is located within the CARROLL COUNTY PUBLIC SCHOOLS school district. Search Hampstead real estate on www.movewithmike.net today.

Property Features

Property Type: Land - Residential
Lot Size: 10.81 Acres
Taxes: $2,016

Feature Descriptions

Lot Dimensions: 10.81 Acre(S)
Sewer: Perc Approved Septic
Water: Well

Local Schools

School District: CARROLL COUNTY PUBLIC SCHOOLS

Listed By / Shown By

Listed By

Agency Name: RE/MAX Advantage Realty
Agency Phone: 4108712600

IDX logo

Estimate Your Payment

Estimated Payment

$ 2,179.27 per month $1,778.23 Principal & Interest $168.00 Property Tax $233.04 Homeowner's Insurance

Change Payment Information

%
years/fixed
yearly
yearly (est.)
(Monthly PMI fees could increase payment if above 80% LTV)
Getting pre-qualified is the first step to buying a home! GET PREQUALIFIED NOW Home Mortgage Logo

Login to Saved Search

Pixel